2026. január 01., csütörtök
Képtár:    Egyéb/Fórum     wetsom képei Képek száma: 2331
<-Nagyításhoz kattints a képre!->
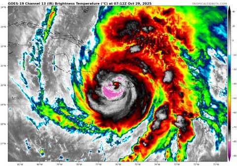
pic Feltöltő: wetsom
Feltöltötte: 2025-10-29 08:33:52

Havazás előrejelzés

Utolsó észlelés

2026-01-01 01:05:47

Hajdúnánás

Észlelési napló

Térképek

Radar
map
Aktuális hõmérséklet
map
Aktuális szél
map

Utolsó kép

150212

Hírek, események

Feketén fehéren a karácsonyról

Időjárás-változás | 2025-12-21 10:00

pic
Jelentős változás kezdődik a kontinens és egyben hazánk időjárásában az ünnepi időszak alatt.